- Ti trovi in:
- Home ›
- Immobili ›
- Venezia ›
- Vendita ›
- Box o garage ›
- Box o garage in vendita a Venezia
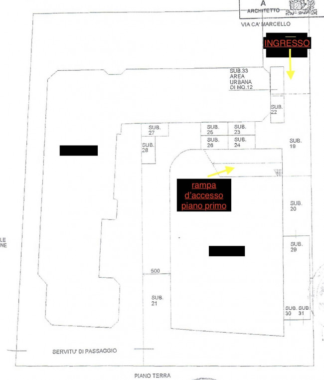
Box o garage in vendita a Venezia Venezia - via ca marcello, 4
Zona: Mestre
Visto ma aggiornato
Descrizione
Cod. me20251211box
Mestre Venezia via Ca' Marcello a due passi dalla stazione comodo hai mezzi su rotaia e su gomma, garage posto al piano primo inserito in un complesso immobiliare adibito completamente a garage e posti auto, L'ingresso avviene da via principale con cancello elettrico su scoperto privato, comoda rampa d'accesso esterna al piano primo, anche per auto di grandi dimensioni, cancello d'accesso alla zona garage elettrico, ampio spazio di manovra d'accesso al garage esclusivo e per l'uscita, basculante manuale superficie complessiva interna 24 metri quadrati lunghezza 5 metri larghezza 4,65 metri .altezza 2.80. possibilità di inserire due veicoli spese condominiali annuali bassissime.
€ 60.000
Caratteristiche
Scopri le caratteristiche di questo immobile
Ubicazione immobile
Video immobile
Vetrina Affari intermediazioni immobiliari
P.IVA: 04145630275
info@vetrina-affari.com
3467517600
P.IVA: 04145630275
info@vetrina-affari.com
3467517600
Contattaci
Alcuni immobili che potrebbero interessarti
Ultimo aggiornamento 08/01/2026